プロフィール

永島規史
神奈川県
プロフィール詳細
カレンダー
検索
タグ
- 日記
- APIA
- 三浦半島
- 横須賀
- 三浦
- 横浜
- 東京湾
- 相模湾
- 秋田
- 宮城
- 山形
- 福島
- 新潟
- 千葉
- 茨城
- 利根川
- 静岡
- 愛知
- 三重
- 大阪
- 出張中
- アウェイ戦
- コンクリート戦
- 砂場戦
- ウェーディング
- スモールプラッギングゲーム
- フィネスヒラ
- ロックショアゲーム
- ライトショアジギング
- ショアプラッキング
- エギング
- ライトエギング
- アーバンエギング
- タチウオジギング
- オフショアゲーム
- ボートゲーム
- 磯ゲーム
- リバーゲーム
- アジング
- シーバス
- 磯マル
- ヒラスズキ
- メバル
- ロックフィッシュ
- 青物
- クロダイ
- シイラ
- フラットフィッシュ
- キハダマグロ
- カマス
- メッキ
- バス♪
- サワラ
- クワガタ
- 野球
- ソフトボール
- ガンダム
- イベント
- APIA試投会
- GRANDAGE MEGASOUL
- GRANDAGE NAVAL
- GRANDAGE ATLAS
- GRANDAGE
- GRANDAGE LITE
- Foojin' Z
- Foojin' RS
- Foojin' AD
- Foojin' R
- Foojin' BB
- Legacy' BLUE LINE
- Legacy'SC
- AIRSTINGERⅡ
- STAY GOLD
- ALABANZA
- BLUE MOMENT
- Brute'HR
- ARGO 69
- ARGO 105
- ARGO 160
- AILED'ORE115F
- ARGO 200
- DOVER 120F Riva
- DOVER 70F SR
- DOVER 46SS
- ドーバー99F
- ドーバー99S
- DOVER 82S
- PUNCHLINE 45
- PUNCHLINE 60
- PUNCHLINE 80
- PUNCHLINE 95
- PUNCHLINE 130
- PUNCHLINE CURVY70SS
- PUNCHLINE SLIM90
- PUNCHLINE MUSCLE80
- PUNCHLINE MUSCLE95
- HYDROUPPER 55S
- HYDROUPPER 90S
- HYDROUPPER SLIM100S
- LUCK-V Ghost
- ラムタラ
- バレーヌ 125F
- UPRIZING 59
- ラムタラジャイアント177
- GOLD ONE
- ARCHHEAD
- PRONTO
- bit-V
- 青龍ハイパー
- 青龍BITS
- CARBON WADING NET Ⅲ
- パカスカ
- APベスト
- ANGLER'S SUPPORT VEST VER.3
- 新型♪
- プロト
- お試し物♪
- P.D.G
- フリルドスイマー
- スキッドスライダー
- Maria
- フェイクベイツ
- YAMASHITA
- フェイクベイツNL1
- カーボンバイブ
- マール・アミーゴⅡ
- ブルースコードⅡ
- フラペン
- フラペン ブルーランナー
- フラペンシャロー
- フラペンブルーランナーS85
- スカッシュ
- ポップクィーン
- メタフラ
- デュプレックス
- ラピード F130
- ママワーム ソフト
- サブマリンヘッド
- メタルフリッカー
- ナオリーRH
- GRANDAGE LEGACY
- 青森
- GRANDAGE VICE
- GEM
- 鮎ルアー
- 岩手
- Juicy
- 福岡
- GRANDAGE BRUTE
- スウィングウォブラー
- バレーヌ 160SPL
- オオニベ
アーカイブ
アクセスカウンター
- 今日のアクセス:416
- 昨日のアクセス:416
- 総アクセス数:2036255
QRコード
▼ イベントとイベントと - 青物番外編
【2025年第六十一話】
前話のワラサ以降、また沈黙が暫く続いている(苦)
と言っても、翌日から台風19号の影響を考慮して2日間続けて休んだり
「もう、大丈夫だろ?」
と行ってみたら

まだ残るウネリと朝の上げ潮が重なったことで常に磯の上は水浸し状態と殆ど釣りにならなかったり。
ただ、7月・8月に比べアップ回数が少なくなっていた9月故に、そんな時こそ書きそびれていたネタを使う手もあった。

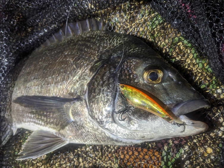
GEM 4.5(オレンジイエロー)
この時も翌日の大荒れ予報から青物を諦め、改めてネタに合わせた『黒』を撮りに。
しかし、そもそも
『夏休み特別企画 - 黒は黒でも』

GRANDAGE LEGACY UNIVERSAL S77MT
というタイトル構想分だったので、そうして書くには流石に間が開き過ぎた。
よって

『黒いガンキャノン』
を作ったまでで終わり(笑)
海も落ち着いた27日(土)は仲間からのワラサ釣果報告を涸沼のほとりで聞きながら

キャスティング水戸店様主催の『ダイワ・アピア・ロンジン/ 3社合同新製品展示試投会』に参加。

翌日28日(日)は店内に場所を移し、このところの恒例参加である『ソルトルアーメーカー合同展示即売会』とイベント続き。

各イベントにご来場いただきました皆さま、ありがとうございましたm( _ _ )m
なお
「来年もやります!!」
とのことなので、イベントの様子はこちらからも。
■キャスティング水戸店 / ショップニュース
https://castingnet.jp/shop/detail.php?s=44&no=237248#title_news
そして、今週末は

これまた恒例になっている上州屋戸塚原宿店様主催の
『ソルトルアーフェスタ2025』
に参加。

10月に入り《200部隊》へと完全移行する前に
「なんとか、もう1本釣ってから青物を終えたい」
という中でもあるので、開始間際に店に駆け込む姿を見かけたら
「コイツ、朝に釣りしてから来たな?」
と思ってください(笑)
前話のワラサ以降、また沈黙が暫く続いている(苦)
と言っても、翌日から台風19号の影響を考慮して2日間続けて休んだり
「もう、大丈夫だろ?」
と行ってみたら

まだ残るウネリと朝の上げ潮が重なったことで常に磯の上は水浸し状態と殆ど釣りにならなかったり。
ただ、7月・8月に比べアップ回数が少なくなっていた9月故に、そんな時こそ書きそびれていたネタを使う手もあった。

GEM 4.5(オレンジイエロー)
この時も翌日の大荒れ予報から青物を諦め、改めてネタに合わせた『黒』を撮りに。
しかし、そもそも
『夏休み特別企画 - 黒は黒でも』

GRANDAGE LEGACY UNIVERSAL S77MT
というタイトル構想分だったので、そうして書くには流石に間が開き過ぎた。
よって

『黒いガンキャノン』
を作ったまでで終わり(笑)
海も落ち着いた27日(土)は仲間からのワラサ釣果報告を涸沼のほとりで聞きながら

キャスティング水戸店様主催の『ダイワ・アピア・ロンジン/ 3社合同新製品展示試投会』に参加。

翌日28日(日)は店内に場所を移し、このところの恒例参加である『ソルトルアーメーカー合同展示即売会』とイベント続き。

各イベントにご来場いただきました皆さま、ありがとうございましたm( _ _ )m
なお
「来年もやります!!」
とのことなので、イベントの様子はこちらからも。
■キャスティング水戸店 / ショップニュース
https://castingnet.jp/shop/detail.php?s=44&no=237248#title_news
そして、今週末は

これまた恒例になっている上州屋戸塚原宿店様主催の
『ソルトルアーフェスタ2025』
に参加。

10月に入り《200部隊》へと完全移行する前に
「なんとか、もう1本釣ってから青物を終えたい」
という中でもあるので、開始間際に店に駆け込む姿を見かけたら
「コイツ、朝に釣りしてから来たな?」
と思ってください(笑)
- 2025年10月1日
- コメント(0)
コメントを見る
永島規史さんのあわせて読みたい関連釣りログ
fimoニュース
登録ライター
- あたまでっかちランカー
- 17 時間前
- はしおさん
- 『ワームの釣りは、向い風が吉…
- 17 時間前
- hikaruさん
- ヨーヅリ:トビマル
- 4 日前
- ichi-goさん
- 44th 早い話がイマジネーション
- 7 日前
- pleasureさん
- フィッシングショー大阪2026行…
- 18 日前
- ねこヒゲさん
本日のGoodGame
シーバス
-
- '25 これぞ湘南秋鱸、大型捕獲♪
- ハマケン
-
- 流れの釣り
- Kazuma












最新のコメント