プロフィール

永島規史
神奈川県
プロフィール詳細
カレンダー
検索
タグ
- 日記
- APIA
- 三浦半島
- 横須賀
- 三浦
- 横浜
- 東京湾
- 相模湾
- 秋田
- 宮城
- 山形
- 福島
- 新潟
- 千葉
- 茨城
- 利根川
- 静岡
- 愛知
- 三重
- 大阪
- 出張中
- アウェイ戦
- コンクリート戦
- 砂場戦
- ウェーディング
- スモールプラッギングゲーム
- フィネスヒラ
- ロックショアゲーム
- ライトショアジギング
- ショアプラッキング
- エギング
- ライトエギング
- アーバンエギング
- タチウオジギング
- オフショアゲーム
- ボートゲーム
- 磯ゲーム
- リバーゲーム
- アジング
- シーバス
- 磯マル
- ヒラスズキ
- メバル
- ロックフィッシュ
- 青物
- クロダイ
- シイラ
- フラットフィッシュ
- キハダマグロ
- カマス
- メッキ
- バス♪
- サワラ
- クワガタ
- 野球
- ソフトボール
- ガンダム
- イベント
- APIA試投会
- GRANDAGE MEGASOUL
- GRANDAGE NAVAL
- GRANDAGE ATLAS
- GRANDAGE
- GRANDAGE LITE
- Foojin' Z
- Foojin' RS
- Foojin' AD
- Foojin' R
- Foojin' BB
- Legacy' BLUE LINE
- Legacy'SC
- AIRSTINGERⅡ
- STAY GOLD
- ALABANZA
- BLUE MOMENT
- Brute'HR
- ARGO 69
- ARGO 105
- ARGO 160
- AILED'ORE115F
- ARGO 200
- DOVER 120F Riva
- DOVER 70F SR
- DOVER 46SS
- ドーバー99F
- ドーバー99S
- DOVER 82S
- PUNCHLINE 45
- PUNCHLINE 60
- PUNCHLINE 80
- PUNCHLINE 95
- PUNCHLINE 130
- PUNCHLINE CURVY70SS
- PUNCHLINE SLIM90
- PUNCHLINE MUSCLE80
- PUNCHLINE MUSCLE95
- HYDROUPPER 55S
- HYDROUPPER 90S
- HYDROUPPER SLIM100S
- LUCK-V Ghost
- ラムタラ
- バレーヌ 125F
- UPRIZING 59
- ラムタラジャイアント177
- GOLD ONE
- ARCHHEAD
- PRONTO
- bit-V
- 青龍ハイパー
- 青龍BITS
- CARBON WADING NET Ⅲ
- パカスカ
- APベスト
- ANGLER'S SUPPORT VEST VER.3
- 新型♪
- プロト
- お試し物♪
- P.D.G
- フリルドスイマー
- スキッドスライダー
- Maria
- フェイクベイツ
- YAMASHITA
- フェイクベイツNL1
- カーボンバイブ
- マール・アミーゴⅡ
- ブルースコードⅡ
- フラペン
- フラペン ブルーランナー
- フラペンシャロー
- フラペンブルーランナーS85
- スカッシュ
- ポップクィーン
- メタフラ
- デュプレックス
- ラピード F130
- ママワーム ソフト
- サブマリンヘッド
- メタルフリッカー
- ナオリーRH
- GRANDAGE LEGACY
- 青森
- GRANDAGE VICE
- GEM
- 鮎ルアー
- 岩手
- Juicy
- 福岡
- GRANDAGE BRUTE
- スウィングウォブラー
- バレーヌ 160SPL
- オオニベ
- VOYAGER EX IV
- マイヨール 70SL
アーカイブ
アクセスカウンター
- 今日のアクセス:362
- 昨日のアクセス:399
- 総アクセス数:2049662
QRコード
▼ 《ライトの人》にもなりました。
- ジャンル:日記/一般
- (ヒラスズキ, 東京湾, 日記, メバル, APIA, 横須賀, 三浦半島, GRANDAGE LEGACY, PUNCHLINE 60)
【2025年第六十八話】
出張から戻った翌朝は、明け方前まで降った雨に多少の期待を持ちながら久し振りに早起きするつもりだったが、まんまと起きれず。
「それならば!」
と、1本ロッドを持ち出す。

GANDAGE LEGACY BLILIANT(ブリリアント)S68MLT
■Length : 6'8"
■Lure : 1-10g
■Line : (lb)1-4 (PE)#0.2-0.8
■Weight : 66g
小型ミノーの連続トゥイッチ、小型ポッパーの小刻みなポッピング、小型メタルジグの早巻きなど小技を効かせ易いショートレングスのライトゲームロッド。
そう、お寝坊さんにも優しい

過去画 / SEIRYU BITS 6g(マグマシルバー)
メッキ狙い!
このところ砂場でも好釣果が聞かれていた。
が
雨に加えて夜中過ぎに一時的な暴風レベルの南西が吹いたお陰で波は残ってるわ、底荒れの濁りは入るわで行方不明状態。
まだ呪いが継続しているのか!
(前話参照)
夜も浸かる潮周りではない為、そのままライトゲームモードに(笑)
・・・
・・・
・・・
ただ、浸からない分狙いの場所が十分な潮位に達するのは夜中の1時頃から。

そこは3連休に救われる。
勿論ターゲットも変わるので、ロッドも変更。

GRANDAGE LEGACY RUTHLESS(ルースレス)S86MHT
■Length : 8'6"
■Lure : 2-18g
■Line : (lb)2-8 (PE)#0.3-1.0
■Weight : 86g
シーズン初期の小型青物ゲーム以来、久し振りに手にしたロング&パワーモデル。冬~春先のスモールプラッギングゲームなら『S77MT』でも十分だが、今は小型プラグでもパワフルな個体が喰う場合もある上、根がキツいシャローエリア故の選択。
更にこのスタイルで釣れる魚が

ヒラであることも。
合わせる時間的に行くのが少し億劫にもなったが
「せいぜいやっても上げ止まりまで」
ということにして、強行(笑)
少し早めに入った分暫く反応はないが、その頃になると根回りでバイト!
沖でバチャバチャ跳ねる姿にヒラ確定!!
何しろ浸かり週間の途中から5本連続バラシ中。
その呪いを解くため少し慎重なファイトだったが、リーダーはフロロ12lbに上げていた(メインはPE0.6のまま)こともあり安心感も。
Zeeee!
SURFACE CONTROLLER 80
(レッドヘッドマットライムチャート)
ただ、やはり呪いは浸かりで解かないと(笑)
そして、月夜周りのカラーは相変わらずマットチャート系を主体にするが、ルアーを変えても同じく。
PUNCHLINE 60(どチャート)
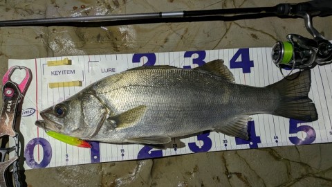
違うスポットで喰ってきたのは良型メバルだったが。

ヒラもメバルも単発でマルはまだ不在だったとはいえ、短時間の様子見釣行としては十分な結果としておきたいところ。
ベイトに依存する釣りが続いてしまっていた中で久し振りに本来の釣りが出来たこともあり、浸からない合間の楽しみも増えた感じに!
また、暫く浸かるけど(笑)
出張から戻った翌朝は、明け方前まで降った雨に多少の期待を持ちながら久し振りに早起きするつもりだったが、まんまと起きれず。
「それならば!」
と、1本ロッドを持ち出す。

GANDAGE LEGACY BLILIANT(ブリリアント)S68MLT
■Length : 6'8"
■Lure : 1-10g
■Line : (lb)1-4 (PE)#0.2-0.8
■Weight : 66g
小型ミノーの連続トゥイッチ、小型ポッパーの小刻みなポッピング、小型メタルジグの早巻きなど小技を効かせ易いショートレングスのライトゲームロッド。
そう、お寝坊さんにも優しい

過去画 / SEIRYU BITS 6g(マグマシルバー)
メッキ狙い!
このところ砂場でも好釣果が聞かれていた。
が
雨に加えて夜中過ぎに一時的な暴風レベルの南西が吹いたお陰で波は残ってるわ、底荒れの濁りは入るわで行方不明状態。
まだ呪いが継続しているのか!
(前話参照)
夜も浸かる潮周りではない為、そのままライトゲームモードに(笑)
・・・
・・・
・・・
ただ、浸からない分狙いの場所が十分な潮位に達するのは夜中の1時頃から。

そこは3連休に救われる。
勿論ターゲットも変わるので、ロッドも変更。
GRANDAGE LEGACY RUTHLESS(ルースレス)S86MHT
■Length : 8'6"
■Lure : 2-18g
■Line : (lb)2-8 (PE)#0.3-1.0
■Weight : 86g
シーズン初期の小型青物ゲーム以来、久し振りに手にしたロング&パワーモデル。冬~春先のスモールプラッギングゲームなら『S77MT』でも十分だが、今は小型プラグでもパワフルな個体が喰う場合もある上、根がキツいシャローエリア故の選択。
更にこのスタイルで釣れる魚が

ヒラであることも。
合わせる時間的に行くのが少し億劫にもなったが
「せいぜいやっても上げ止まりまで」
ということにして、強行(笑)
少し早めに入った分暫く反応はないが、その頃になると根回りでバイト!
沖でバチャバチャ跳ねる姿にヒラ確定!!
何しろ浸かり週間の途中から5本連続バラシ中。
その呪いを解くため少し慎重なファイトだったが、リーダーはフロロ12lbに上げていた(メインはPE0.6のまま)こともあり安心感も。
Zeeee!SURFACE CONTROLLER 80
(レッドヘッドマットライムチャート)
ただ、やはり呪いは浸かりで解かないと(笑)
そして、月夜周りのカラーは相変わらずマットチャート系を主体にするが、ルアーを変えても同じく。
PUNCHLINE 60(どチャート)違うスポットで喰ってきたのは良型メバルだったが。

ヒラもメバルも単発でマルはまだ不在だったとはいえ、短時間の様子見釣行としては十分な結果としておきたいところ。
ベイトに依存する釣りが続いてしまっていた中で久し振りに本来の釣りが出来たこともあり、浸からない合間の楽しみも増えた感じに!
また、暫く浸かるけど(笑)
- 2025年11月4日
- コメント(0)
コメントを見る
永島規史さんのあわせて読みたい関連釣りログ
メガバス(Megabass) (2019-11-25)
価格:¥4,222
価格:¥4,222
fimoニュース
登録ライター
- スネコンユラユラ~ナイトゲー…
- 11 時間前
- はしおさん
- サーフヒラメイワシ理論。D#
- 12 時間前
- BlueTrainさん
- 『蒸着メッキルアー補修 ペイ…
- 14 時間前
- hikaruさん
- シマノ:エクスセンス・モニカ
- 1 日前
- ichi-goさん
- 44th 早い話がイマジネーション
- 30 日前
- pleasureさん
本日のGoodGame
シーバス
-
- 2026バチ抜け開幕
- 魚紳
-
- 多摩川河口 ★ 久々の魚
- デューク












最新のコメント