プロフィール

Dr.TJ
神奈川県
プロフィール詳細
カレンダー
検索
タグ
アーカイブ
アクセスカウンター
- 今日のアクセス:114
- 昨日のアクセス:215
- 総アクセス数:850911
QRコード
▼ Dr.TJの遅い夏休み-2
さて釣行二日目です。
前日釣れたので、調子に乗って二日連続の釣行となりましたが、果たして釣れるのでしょうか…
10月26日 中潮
この日は前日参加できなかった達人Mさんと朝から待ち合わせました。本当はもっと早い時間からエントリーする予定でしたが、前日の疲れが残ってちょっと寝坊。なので現地到着は7:00am頃となりました。
私は昨日と同じルートで釣り始めます。従って最初に入ったポイントは、今シーズン初めてメッキを釣ったポイントです。昨日は全く駄目だったわけですが、一度良い思いをしてしまうとどうしても外せなくなりますね^^;
常連の餌釣り師がいたので挨拶すると、キスがポツポツ釣れるそうです。昨シーズン全く駄目だったキスが、今シーズンは真逆で相変わらず好調なのだそうです。
しかし水は相変わらず濁りが強い…それでも昨日と違って時折小さなナブラが出ます。なので少々粘りましたがやはり当たりは無く…30分ほどで見切りを付け、昨日祭になっていたサーフに移動します。
移動中に達人Mさん発見!Mさんがポイントに到着した時には既に青物狙いのアングラーが4人入っていたので、そこから離れてランガンしていたのだそうです。しかし当たりは無いそうです。
辺りはすっかり明るくなっていて、青物狙いのアングラー達は引き上げて行くところでした。私達はその方向に向かって移動しながら打ってゆきます。

この日も海は穏やかw
先ほどのポイントとは違い、水の濁りも大分取れています。しばらくバイトはありませんでしたが、昨日同様ナブラ発生!急いで駆け寄ると、昨日と同じようにあちこちで祭が始まっています!早速ナブラの先頭向けてキャスト…
…
…
…
釣れませんなorz
これは昨日の午後と全く状況が同じ。魚がいることは分かっているのに、ルアーには全く反応してくれません。冗談のようにかすりもしません。
Mさんと苦戦しているところへ、もう一人の達人810さんも登場しました。相変わらずナブラは凄いのだけど、三人並んで釣っても全く反応なし。唯一、昨日同様TIMCO/RED PEPPER MICROを投げた時だけは、後ろからチェイスしてくるのが分かりましたがバイトに持ち込むことが出来ず。辛い時間が続きます。
そんな状況下、やはり810さんがやってくれました!
ナブラを直撃せず、少々シャロー側に移動して海面が静かな場所を敢えて打つ!
ベイトは昨日同様そこいら中におびただしい数が漂っています。時折810さんのルアーに驚いて逃げ惑うのが分かります。そしてついにヒット!大きさこそ20㎝足らずですが、見事ゲット!流石です。810さんは続けざまにもう一尾ゲットしました。
そこで私もシャローに移動して探りを入れて見ます。あまりにも反応が悪いので、ダツにルアーを持っていかれるのが少々怖いがリーダーをナイロン12lbからフロロ6lbに変更。ルアーは沈下速度をゆっくりにしたかったので、やや軽めのルアー…MariaのFAKE BAITSやZIP BAITSのRIGGE SLIM 60SS等を投げ、SMITHのWAVY 50Sにローテーションしたところで私にも待望のヒット!

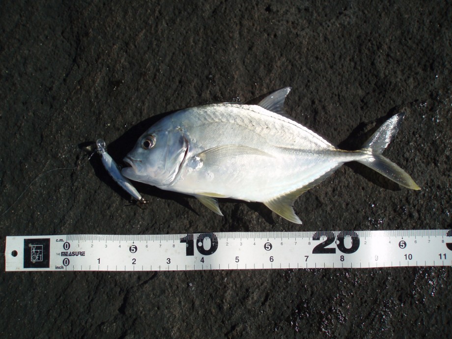
オニヒラアジ18㎝
サイズこそ小さいですが、結果が出たことは何しろ嬉しいw
ナブラに狂っている魚が相手なので、最初は連続ショートトゥィッチで攻めましたが結果が出ず。そこでややゆっくりしたワンピッチジャークに切り替えてヒット!渋い時には色々なメソッドを試して見る必要がありますね。
このシャローポイントは狭いので、皆で代わる代わる打って見ました。別の方が打っている時は、私は外海側のブレイクを中心に攻めます。

そのブレイクよりもかなり沖目でゴン!
こいつは良く走りましたw
22㎝のオニヒラアジ。
そして続けざまにもう一尾。

ロウニンアジ

ちょうど20㎝。
ロウニンアジは体高があって逞しい。なので同じサイズのギンガメアジに比べると引きが格段に強いです。今年はロウニンアジとオニヒラアジの割合が多めに感じます。昨年私達を癒してくれたギンガメアジの数が少ないことが、不調の原因でしょうか。
私がこの3尾を釣ったところで810さんは撤収する事になりました。実は810さん、この日で三日連続の釣行で疲れたとか^^;
その810さんが帰りしなにキャスティングしながら歩いていたら、25㎝近いギンガメアジが釣れたとの連絡!
私達もバイトが得られなくなってきたところだったので、駐車場に戻る方向でランガンを開始します。810さんの言う海面はヨレが出来て、確かにベイトが溜まっていそうなのですが、私達にはバイトは得られず…
そこで先日初メッキをゲットしたポイントまで戻ることに。
そこには餌釣り師もいて、チョイ投げで面白いほどキスを釣っていました。メッキが釣れない時はこれもありだな^^
付近をMさんと二人でランガンしながら釣っていましたがバイトは得られず…Mさんは何とキャスティングの際にラインがガイドに絡まってD-CONをすっ飛ばしました。すっかり心が折れたようで、終了宣言をする始末。この時まだ13:00を回った頃。前日の疲れがあったので私も終了しようかなと思っていたその時、何も考えずにショートトゥィッチを繰り返していた私のロッドにゴン!
不意を付かれて驚きましたが、問題なくゲット!

16㎝くらいのギンガメアジ^^;
小さいけど一尾は一尾。
買ったばかりのリールの入魂が済んでいないMさんに勇気を与えたかも^^
この一尾でMさん再びやる気を出しましたw
そして私は続けざまにもう一尾。

これまた小さい^^;
17㎝のオニヒラアジ。
でも一尾は一尾。
Mさん俄然やる気を出し、ついに20㎝オーバーのギンガメアジをゲットしました!入魂成功です!粘り勝ちですね!
私の方は更に、

18㎝のロウニンアジ。
ショートトゥィッチでは反応が出なくなったのでワンピッチジャークに切り替えたところ、沖目で一度バイト。そのままゆっくり誘うと、手前側のドロップオフ付近で再びバイトし、ヒットに持ち込みました。これはしっかり食わせて釣った一尾。魚は小さいけど、この日一番嬉しい釣れ方をしてくれました。
その後Mさんは粘って23㎝ほどの立派なロウニンアジを獲りました!さすが!最後は締めてくれますw
昨日に比べると朝の高活性時が難しい釣りになり、非常に苦労しましたが何とか結果は出ました。
湘南メッキはまだ本調子とは言えません。あるいは今シーズンは、このまま難易度の高い釣りを強いられる事になるのかもしれません。
しかし魚がいることは分かったので、ちょっと安心した二日間でした。
【Tackle Data】
Rod :Major Craft/VOLEKY VKS-632UL
Reel :Shimano/11TWINPOWER 1000PGS
Line :PE#0.4
Leader:Fluoro carbon 6LB
Lure :SMITH/D-CONTACT50
SMITH/AKM48
SMITH/WAVY 50S
Jackson/Pin tail tune 6
TIMCO/RED PEPPER MICRO
さて、何故か釣り日記であるにもかかわらずラーメン情報が掲載されないと催促されてしまう当ブログです^^;
この二日間の釣行ではラーメンを食べていませんので、地元のお気に入り店を紹介しますw
相模原の『潮中華 KAZE』です。

「鶏郎 大盛」

「つけ郎 大盛」

「限定 ほんのり梅潮らーめん」
もともと潮らーめん専門店として、極めて淡麗なラーメンを提供していましたが、後にメニューに加わったいわゆるJ系ラーメンが評判となり、今ではそちらが看板メニューになっています。
J系とは言え、二郎とは全くの別物。塩味で、味付け自体はサッパリ。淡麗な爆盛という珍しいジャンルで、麺量も段階が細かく設定されているので普通の量を食べたい人でも大丈夫。
とてもさっぱりしたタンメンを食べているような感覚を覚えます。
毎朝打っている自家製麺も絶品!
ちなみに一番下のメニューは、開店当初に提供していた定番メニューを復刻した限定メニュー。少々酸味が効いて、非常にさっぱりした淡麗ラーメンです。
【店データ】
『潮中華 KAZE』
住所:神奈川県相模原市中央区横山1-2-19
電話:042-855-7741
定休:月曜日(月曜日が祝日の場合は翌日休)
時間:11:30-14:45 18:00-20:30
前日釣れたので、調子に乗って二日連続の釣行となりましたが、果たして釣れるのでしょうか…
10月26日 中潮
この日は前日参加できなかった達人Mさんと朝から待ち合わせました。本当はもっと早い時間からエントリーする予定でしたが、前日の疲れが残ってちょっと寝坊。なので現地到着は7:00am頃となりました。
私は昨日と同じルートで釣り始めます。従って最初に入ったポイントは、今シーズン初めてメッキを釣ったポイントです。昨日は全く駄目だったわけですが、一度良い思いをしてしまうとどうしても外せなくなりますね^^;
常連の餌釣り師がいたので挨拶すると、キスがポツポツ釣れるそうです。昨シーズン全く駄目だったキスが、今シーズンは真逆で相変わらず好調なのだそうです。
しかし水は相変わらず濁りが強い…それでも昨日と違って時折小さなナブラが出ます。なので少々粘りましたがやはり当たりは無く…30分ほどで見切りを付け、昨日祭になっていたサーフに移動します。
移動中に達人Mさん発見!Mさんがポイントに到着した時には既に青物狙いのアングラーが4人入っていたので、そこから離れてランガンしていたのだそうです。しかし当たりは無いそうです。
辺りはすっかり明るくなっていて、青物狙いのアングラー達は引き上げて行くところでした。私達はその方向に向かって移動しながら打ってゆきます。

この日も海は穏やかw
先ほどのポイントとは違い、水の濁りも大分取れています。しばらくバイトはありませんでしたが、昨日同様ナブラ発生!急いで駆け寄ると、昨日と同じようにあちこちで祭が始まっています!早速ナブラの先頭向けてキャスト…
…
…
…
釣れませんなorz
これは昨日の午後と全く状況が同じ。魚がいることは分かっているのに、ルアーには全く反応してくれません。冗談のようにかすりもしません。
Mさんと苦戦しているところへ、もう一人の達人810さんも登場しました。相変わらずナブラは凄いのだけど、三人並んで釣っても全く反応なし。唯一、昨日同様TIMCO/RED PEPPER MICROを投げた時だけは、後ろからチェイスしてくるのが分かりましたがバイトに持ち込むことが出来ず。辛い時間が続きます。
そんな状況下、やはり810さんがやってくれました!
ナブラを直撃せず、少々シャロー側に移動して海面が静かな場所を敢えて打つ!
ベイトは昨日同様そこいら中におびただしい数が漂っています。時折810さんのルアーに驚いて逃げ惑うのが分かります。そしてついにヒット!大きさこそ20㎝足らずですが、見事ゲット!流石です。810さんは続けざまにもう一尾ゲットしました。
そこで私もシャローに移動して探りを入れて見ます。あまりにも反応が悪いので、ダツにルアーを持っていかれるのが少々怖いがリーダーをナイロン12lbからフロロ6lbに変更。ルアーは沈下速度をゆっくりにしたかったので、やや軽めのルアー…MariaのFAKE BAITSやZIP BAITSのRIGGE SLIM 60SS等を投げ、SMITHのWAVY 50Sにローテーションしたところで私にも待望のヒット!

オニヒラアジ18㎝
サイズこそ小さいですが、結果が出たことは何しろ嬉しいw
ナブラに狂っている魚が相手なので、最初は連続ショートトゥィッチで攻めましたが結果が出ず。そこでややゆっくりしたワンピッチジャークに切り替えてヒット!渋い時には色々なメソッドを試して見る必要がありますね。
このシャローポイントは狭いので、皆で代わる代わる打って見ました。別の方が打っている時は、私は外海側のブレイクを中心に攻めます。

そのブレイクよりもかなり沖目でゴン!
こいつは良く走りましたw
22㎝のオニヒラアジ。
そして続けざまにもう一尾。

ロウニンアジ

ちょうど20㎝。
ロウニンアジは体高があって逞しい。なので同じサイズのギンガメアジに比べると引きが格段に強いです。今年はロウニンアジとオニヒラアジの割合が多めに感じます。昨年私達を癒してくれたギンガメアジの数が少ないことが、不調の原因でしょうか。
私がこの3尾を釣ったところで810さんは撤収する事になりました。実は810さん、この日で三日連続の釣行で疲れたとか^^;
その810さんが帰りしなにキャスティングしながら歩いていたら、25㎝近いギンガメアジが釣れたとの連絡!
私達もバイトが得られなくなってきたところだったので、駐車場に戻る方向でランガンを開始します。810さんの言う海面はヨレが出来て、確かにベイトが溜まっていそうなのですが、私達にはバイトは得られず…
そこで先日初メッキをゲットしたポイントまで戻ることに。
そこには餌釣り師もいて、チョイ投げで面白いほどキスを釣っていました。メッキが釣れない時はこれもありだな^^
付近をMさんと二人でランガンしながら釣っていましたがバイトは得られず…Mさんは何とキャスティングの際にラインがガイドに絡まってD-CONをすっ飛ばしました。すっかり心が折れたようで、終了宣言をする始末。この時まだ13:00を回った頃。前日の疲れがあったので私も終了しようかなと思っていたその時、何も考えずにショートトゥィッチを繰り返していた私のロッドにゴン!
不意を付かれて驚きましたが、問題なくゲット!

16㎝くらいのギンガメアジ^^;
小さいけど一尾は一尾。
買ったばかりのリールの入魂が済んでいないMさんに勇気を与えたかも^^
この一尾でMさん再びやる気を出しましたw
そして私は続けざまにもう一尾。

これまた小さい^^;
17㎝のオニヒラアジ。
でも一尾は一尾。
Mさん俄然やる気を出し、ついに20㎝オーバーのギンガメアジをゲットしました!入魂成功です!粘り勝ちですね!
私の方は更に、

18㎝のロウニンアジ。
ショートトゥィッチでは反応が出なくなったのでワンピッチジャークに切り替えたところ、沖目で一度バイト。そのままゆっくり誘うと、手前側のドロップオフ付近で再びバイトし、ヒットに持ち込みました。これはしっかり食わせて釣った一尾。魚は小さいけど、この日一番嬉しい釣れ方をしてくれました。
その後Mさんは粘って23㎝ほどの立派なロウニンアジを獲りました!さすが!最後は締めてくれますw
昨日に比べると朝の高活性時が難しい釣りになり、非常に苦労しましたが何とか結果は出ました。
湘南メッキはまだ本調子とは言えません。あるいは今シーズンは、このまま難易度の高い釣りを強いられる事になるのかもしれません。
しかし魚がいることは分かったので、ちょっと安心した二日間でした。
【Tackle Data】
Rod :Major Craft/VOLEKY VKS-632UL
Reel :Shimano/11TWINPOWER 1000PGS
Line :PE#0.4
Leader:Fluoro carbon 6LB
Lure :SMITH/D-CONTACT50
SMITH/AKM48
SMITH/WAVY 50S
Jackson/Pin tail tune 6
TIMCO/RED PEPPER MICRO
さて、何故か釣り日記であるにもかかわらずラーメン情報が掲載されないと催促されてしまう当ブログです^^;
この二日間の釣行ではラーメンを食べていませんので、地元のお気に入り店を紹介しますw
相模原の『潮中華 KAZE』です。

「鶏郎 大盛」

「つけ郎 大盛」

「限定 ほんのり梅潮らーめん」
もともと潮らーめん専門店として、極めて淡麗なラーメンを提供していましたが、後にメニューに加わったいわゆるJ系ラーメンが評判となり、今ではそちらが看板メニューになっています。
J系とは言え、二郎とは全くの別物。塩味で、味付け自体はサッパリ。淡麗な爆盛という珍しいジャンルで、麺量も段階が細かく設定されているので普通の量を食べたい人でも大丈夫。
とてもさっぱりしたタンメンを食べているような感覚を覚えます。
毎朝打っている自家製麺も絶品!
ちなみに一番下のメニューは、開店当初に提供していた定番メニューを復刻した限定メニュー。少々酸味が効いて、非常にさっぱりした淡麗ラーメンです。
【店データ】
『潮中華 KAZE』
住所:神奈川県相模原市中央区横山1-2-19
電話:042-855-7741
定休:月曜日(月曜日が祝日の場合は翌日休)
時間:11:30-14:45 18:00-20:30
- 2012年10月28日
- コメント(2)
コメントを見る
Dr.TJさんのあわせて読みたい関連釣りログ
fimoニュース
登録ライター
- 『バラし病は存在しない?』 2…
- 1 日前
- hikaruさん
- ダイワ:だいふく零
- 5 日前
- ichi-goさん
- ふるさと納税返礼品
- 5 日前
- papakidさん
- 夏の景色の中で
- 6 日前
- はしおさん
- 43rd ONE ON ONE
- 6 日前
- pleasureさん
本日のGoodGame
シーバス
-
- 清流鱸を追って38
- 金森 健太
-
- 続・ありがとうサミー100スズキサイ…
- そそそげ















最新のコメント