プロフィール

おっちー
東京都
プロフィール詳細
カレンダー
検索
タグ
アクセスカウンター
- 今日のアクセス:394
- 昨日のアクセス:775
- 総アクセス数:1115991
アーカイブ
▼ 宙でドドドドドっと良型カワハギDay (2025season #2)
- ジャンル:釣行記
- (かわはぎ)
内房勝山 宝生丸 で迎える夜明け

浮島沖水深26メートルから釣り始める一日

手には大好きな極鋭カワハギ1455AIR

宙からマイナステンションまで幅広く誘って
小型ながら
スタートダッシュで3枚釣って一安心

その後船は一路 大房岬沖 へと移動して
水深35メートル前後
大きな誘いで餌をアピールしながら
宙主体の釣りで

良型連発♪

時折良型の美味しいメイチダイも混じり

Wも飛び出して

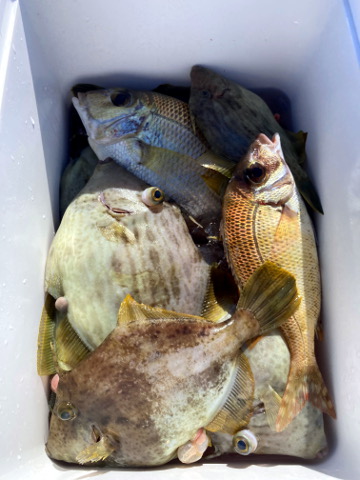
クーラーの中は
お土産いっぱいで竿頭♪

楽しい釣りを終え
港に戻りながら甘いパンで寛いで

帰宅して
新鮮なカワハギをささっと捌いて
肝を乗せて握り寿司で楽しんで

翌日は漬け丼と
カワハギの頭と骨であら汁とし
至福の晩御飯

カマはガーリックソテーにして
レモンソースで

脂ノリノリのメイチダイは
4日寝かして刺身と炙りで♪

楽しく釣りして余さず美味しく
mahalo

- 12月9日 07:00
- コメント(0)
コメントを見る
おっちーさんのあわせて読みたい関連釣りログ
fimoニュース
登録ライター
- ダイワ:T.D.ミノー NO.1091
- 19 時間前
- ichi-goさん
- 『釣れそうな気がする・・・』
- 1 日前
- hikaruさん
- ムスッとしてたら
- 12 日前
- はしおさん
- 44th 早い話がイマジネーション
- 19 日前
- pleasureさん
- フィッシングショー大阪2026行…
- 1 ヶ月前
- ねこヒゲさん
本日のGoodGame
シーバス
-
- 2026バチ抜け開幕
- 魚紳
-
- 多摩川河口 ★ 久々の魚
- デューク










