プロフィール

ぽんきちZ
熊本県
プロフィール詳細
カレンダー
検索
アクセスカウンター
- 今日のアクセス:16
- 昨日のアクセス:83
- 総アクセス数:1685424
タグ
▼ 魚の活性に合わせて釣りまくる!
皆さん、こん(*^-゜)vばん(*^0゜)vよう~v(≧∇≦)v~♪
昨日も仕事が終わってから、短時間ながらもオフショアへ!
いつもと同じで水面に出てる時はトップで!
出ていない時はバイブで!
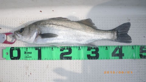
それぞれ使い分けてシーバスを確保!
まあ、この時間内ならこんなもんか。
そして今日は休みでやっと一日中ボートシーバスを楽しめます。
今まで何かと用事があり、なかなか一日中できなかったんですよね~
各時間帯において、どうシーバスの活性を見極め釣っていくか!?
がテーマです。
しかし特に気合い入れて、早く起きて行くこともなく…
午前8時ごろから出船(笑)
まだ活性は高いであろう時間?
とりあえずいつものトップとバイブ作戦でやってみる。
なんか…いまいちな感…そろそろスレてきたか!?
そうしているうちに…
ついに漁船団が襲来!3隻追い込み漁と、地引網が始まりました!
こりゃ…そろそろ祭りも終わり!?
パタリとシーバスの反応がなくなる。
ですが~今までいた場所は分かってるので…
ビビッて水深深くに逃げ込んだシーバスの見当はついてます。
伊達に長い間シーバスのストーキングをしている訳ではありません(笑)
すかさずジグにチェンジ!
深場に潜むシーバスをジギングで直撃!
スローに、軽くシャクリつつも、じっくりと見せて誘いをかける。
すると…狙った通り!ボトムにへばりついたシーバスが出る!出る!
なんか結構、ジグのほうがいいサイズが出ま~す。
ボトムとると、エソやアコウ、マゴチも来ましたがキビレも来ました。
昼頃には昼飯と燃料調達に一度丘へ上がり、再びオフショアへ!
まだジギングで十分出ます。
気になるのは…予報では昼過ぎから時化始めるということ。
白波が立つと危険なので帰港する予定。
予報通り少しずつ時化始める。
ある程度時化が進むと…
途端にジグに食わなくなり…
今度はボトムからトップへ一気に活性が上がる!
いつものフェイキードッグDSでは、風で飛ばないし波で目立たないようなので、ソルトスキマーを選択。
動きもよくぶっ飛びなのでお気に入り。
風を切り裂き!矢のようにぶっ飛ばして、波にも負けずドッグウォークをぶちかます!
(*`▽´*)ウヒョヒョ!
出る!出る!トップにわんさか!
ボートが揺れてそれなりに大変ですが、時化でこれだけ活性が上がるとは!
分かっちゃいたけど、活性が変わる瞬間を目の当たりにすると感動を覚えます。
そろそろ出尽くした?
的な状況になり、日も傾きかけてきて…
なんとなく…奴らの気配を感じる時間帯…
とりあえず納まりつつもシーバスがまだ出てるんでそのままキャストを続けていると…
ビュンッ!目標地点に向かってキャスト!
その瞬間…ババババッ!着水予想地点に青物らしきボイル…
( ̄0 ̄;アッ!来るかも…またシーバスタックルなのに…
ポチャッ!見事にボイル直撃!
当然のようにヒット(^▽^;)
またしてもシーバスタックルでブリファイト開始!
周りではシーバスのボイルがラストスパート!
でも(ヾノ・∀・`)ムリムリ!今は相手できましぇ~ん!
なんで青物タックルで釣らせてくれんかな~…
と、ブツクサいいながらも15分の格闘の末…無事ネットイン!
ネットインの瞬間にフロントフックがスプリットリングごとぶっ飛びました(^▽^;)
ギリギリ_(゜ー^*)_セーフ!
また97cmですが…今まで一番痩せていて6.4kg!
しかも左目は失明しています。
もうねえ…リリースしたいんですけど…
シーバスタックルだと上がってくるころは瀕死でピクピクしてるんでキープするしかないんです( ノД`)シクシク…
って言うか、こんだけ頻繁に良型のブリ釣れると…
自分の中で価値観が下がってきてるんですけど(;^ω^)
おかげさまでシーバスはブリファイト中にラストスパートを終え、白波も立ってきたので本日は終了。
久々に一日中釣りしましたわ。
状況が変われば、パターンもコロリと変わり活性に合わせて、うまく釣っていくことが出来ました。
充実した楽しい一日でした。(*^-゜)v♪
《タックルデータ》
【ロッド】ダイワ:モアザンブランジーノAGS77ML
【リール】ダイワ:モアザンブランジーノ3000
【ライン】シマノ:パワープロZ 1.2号
【リーダー】ダイワ:ソルティガリーダーTypeF 30lb
【ヒットルアー】ジップベイツ:フェイキードッグDS
アイマ:ソルトスキマー
アイマ:GUN吉30g
プライアル:JMV70S
昨日も仕事が終わってから、短時間ながらもオフショアへ!
いつもと同じで水面に出てる時はトップで!
出ていない時はバイブで!
それぞれ使い分けてシーバスを確保!
まあ、この時間内ならこんなもんか。
そして今日は休みでやっと一日中ボートシーバスを楽しめます。
今まで何かと用事があり、なかなか一日中できなかったんですよね~
各時間帯において、どうシーバスの活性を見極め釣っていくか!?
がテーマです。
しかし特に気合い入れて、早く起きて行くこともなく…
午前8時ごろから出船(笑)
まだ活性は高いであろう時間?
とりあえずいつものトップとバイブ作戦でやってみる。
なんか…いまいちな感…そろそろスレてきたか!?
そうしているうちに…
ついに漁船団が襲来!3隻追い込み漁と、地引網が始まりました!
こりゃ…そろそろ祭りも終わり!?
パタリとシーバスの反応がなくなる。
ですが~今までいた場所は分かってるので…
ビビッて水深深くに逃げ込んだシーバスの見当はついてます。
伊達に長い間シーバスのストーキングをしている訳ではありません(笑)
すかさずジグにチェンジ!
深場に潜むシーバスをジギングで直撃!
スローに、軽くシャクリつつも、じっくりと見せて誘いをかける。
すると…狙った通り!ボトムにへばりついたシーバスが出る!出る!
なんか結構、ジグのほうがいいサイズが出ま~す。
ボトムとると、エソやアコウ、マゴチも来ましたがキビレも来ました。
昼頃には昼飯と燃料調達に一度丘へ上がり、再びオフショアへ!
まだジギングで十分出ます。
気になるのは…予報では昼過ぎから時化始めるということ。
白波が立つと危険なので帰港する予定。
予報通り少しずつ時化始める。
ある程度時化が進むと…
途端にジグに食わなくなり…
今度はボトムからトップへ一気に活性が上がる!
いつものフェイキードッグDSでは、風で飛ばないし波で目立たないようなので、ソルトスキマーを選択。
動きもよくぶっ飛びなのでお気に入り。
風を切り裂き!矢のようにぶっ飛ばして、波にも負けずドッグウォークをぶちかます!
(*`▽´*)ウヒョヒョ!
出る!出る!トップにわんさか!
ボートが揺れてそれなりに大変ですが、時化でこれだけ活性が上がるとは!
分かっちゃいたけど、活性が変わる瞬間を目の当たりにすると感動を覚えます。
そろそろ出尽くした?
的な状況になり、日も傾きかけてきて…
なんとなく…奴らの気配を感じる時間帯…
とりあえず納まりつつもシーバスがまだ出てるんでそのままキャストを続けていると…
ビュンッ!目標地点に向かってキャスト!
その瞬間…ババババッ!着水予想地点に青物らしきボイル…
( ̄0 ̄;アッ!来るかも…またシーバスタックルなのに…
ポチャッ!見事にボイル直撃!
当然のようにヒット(^▽^;)
またしてもシーバスタックルでブリファイト開始!
周りではシーバスのボイルがラストスパート!
でも(ヾノ・∀・`)ムリムリ!今は相手できましぇ~ん!
なんで青物タックルで釣らせてくれんかな~…
と、ブツクサいいながらも15分の格闘の末…無事ネットイン!
ネットインの瞬間にフロントフックがスプリットリングごとぶっ飛びました(^▽^;)
ギリギリ_(゜ー^*)_セーフ!
また97cmですが…今まで一番痩せていて6.4kg!
しかも左目は失明しています。
もうねえ…リリースしたいんですけど…
シーバスタックルだと上がってくるころは瀕死でピクピクしてるんでキープするしかないんです( ノД`)シクシク…
って言うか、こんだけ頻繁に良型のブリ釣れると…
自分の中で価値観が下がってきてるんですけど(;^ω^)
おかげさまでシーバスはブリファイト中にラストスパートを終え、白波も立ってきたので本日は終了。
久々に一日中釣りしましたわ。
状況が変われば、パターンもコロリと変わり活性に合わせて、うまく釣っていくことが出来ました。
充実した楽しい一日でした。(*^-゜)v♪
《タックルデータ》
【ロッド】ダイワ:モアザンブランジーノAGS77ML
【リール】ダイワ:モアザンブランジーノ3000
【ライン】シマノ:パワープロZ 1.2号
【リーダー】ダイワ:ソルティガリーダーTypeF 30lb
【ヒットルアー】ジップベイツ:フェイキードッグDS
アイマ:ソルトスキマー
アイマ:GUN吉30g
プライアル:JMV70S
- 2015年6月1日
- コメント(3)
コメントを見る
ぽんきちZさんのあわせて読みたい関連釣りログ
fimoニュース
登録ライター
- 台風一過のエビパターン
- 3 日前
- はしおさん
- レガーレ:ディモル70
- 4 日前
- ichi-goさん
- 『何が違うんでしょうね?』 2…
- 5 日前
- hikaruさん
- ふるさと納税返礼品
- 11 日前
- papakidさん
- 43rd ONE ON ONE
- 13 日前
- pleasureさん
本日のGoodGame
シーバス
-
- 清流鱸を追って38
- 金森 健太
-
- 続・ありがとうサミー100スズキサイ…
- そそそげ





























































最新のコメント