プロフィール

お宮
福岡県
プロフィール詳細
カレンダー
検索
アーカイブ
アクセスカウンター
- 今日のアクセス:20
- 昨日のアクセス:61
- 総アクセス数:122282
QRコード
▼ タイラバやればやるほどリール欲しい~
- ジャンル:日記/一般
週末の釣行&釣果
ぷかりぷかりと、べた凪でした♪
しっかし、風はないし、潮も動かないので、釣れん!!
何とか頑張って探します!
テツノリさんとタイラバ初挑戦の松尾さん
仕事前なので7時に岸にたどり着かないといけないとのことで、短時間勝負!
タックル無いので、松尾さんティップランエギングタックルで挑戦

とりあえず、初挑戦の松尾さんに釣ってもらいたくて、
16mから20mまで探して、いい感じの場所で松尾さんと自分チャリコ
その間にテツノリさん、体調不良で早々に離脱
そして、松尾さんタイムリミット10分前にHIT!!

ドラグが出るいいサイズHITしてくれてほっとしたのもつかの間
?
??
デカい!?
ドラグ出しながら、カヤック引き回されてます(笑)
そばに寄って海中見ると・・・
デカい!
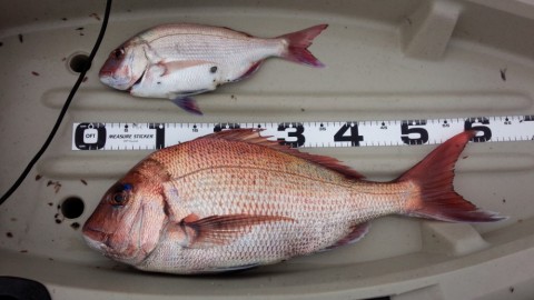
写真じゃ分かりずらいですが、60サイズGET!!

初挑戦でこのサイズ!
絶対はまった(笑)
で、案内した手前、自分も釣らねばとがんばって同サイズGET!!
やっと、今のロッドで納得のサイズGET
よかった~♪
そして、その後2時間ノーフィッシュ(笑)
最後に、いいバイトがあるも、おい合わせでラインブレイク・・・・
リーダー傷があったらちゃんと結びなおさんといけないですねぇ

潮が動かない中での何とかの釣果。
しかし、現在リールは、アブのLJ-1使用していますが、クラッチの固いのと大きいのがネック
その他は満足してるんですが。
買い換え考えても、求めているリールの使用が問題に
・パーミングしやすい(丸型でもロープロでも問題ない)
・PE0.8号が200m巻ける
・シンクロレベルワインド もしくはラインが出るときにライン同士がすれない
これが、ネック・・・
タイラバに限ってのことですが、どうしても、ドラグの出るときのあのラインがすれる音が不快なんです
0.8号の細いとでドラグも1kgも無く走ったらラインが出るような釣り方・・ライン同士がスレていたみそうで・・・
もうですね、求めているの絶対条件がこれなんです
それ以外なら、釣具屋オリジナルの1万以下のでもいいんです!
実際、まえそれ使っていて、ドラグ出たときのラインがすれる音以外不満はなかったのです。
今のところ、自分が探して該当するのが
アブ LJ-1・LJ-3・BJ・MJ
ダイワ リョウガベイジギング
シマノ オシアコンクエスト
オシアカルカッタ
アブのLJシリーズは今使ってるし、BJはテツノリさん1シーズンで機関不良起こしてイメージ的に剛性不足なイメージ
MJでもと思うも、ナロースプールがちょっと
リョウガは良いんですが、予算と不具合起こした時のパーツ代が高い
オシコンは周りで使用者いるのですが、すごくいい感じですが現時点では手が届きません
オシカルは、・・・もうじきモデルチェンジしそうな気がして手が出ない・・・
夏のボーナスまで待ってオシコンがいいのかなぁ
ぷかりぷかりと、べた凪でした♪
しっかし、風はないし、潮も動かないので、釣れん!!
何とか頑張って探します!
テツノリさんとタイラバ初挑戦の松尾さん
仕事前なので7時に岸にたどり着かないといけないとのことで、短時間勝負!
タックル無いので、松尾さんティップランエギングタックルで挑戦

とりあえず、初挑戦の松尾さんに釣ってもらいたくて、
16mから20mまで探して、いい感じの場所で松尾さんと自分チャリコ
その間にテツノリさん、体調不良で早々に離脱
そして、松尾さんタイムリミット10分前にHIT!!

ドラグが出るいいサイズHITしてくれてほっとしたのもつかの間
?
??
デカい!?
ドラグ出しながら、カヤック引き回されてます(笑)
そばに寄って海中見ると・・・
デカい!
写真じゃ分かりずらいですが、60サイズGET!!

初挑戦でこのサイズ!
絶対はまった(笑)
で、案内した手前、自分も釣らねばとがんばって同サイズGET!!
やっと、今のロッドで納得のサイズGET
よかった~♪
そして、その後2時間ノーフィッシュ(笑)
最後に、いいバイトがあるも、おい合わせでラインブレイク・・・・
リーダー傷があったらちゃんと結びなおさんといけないですねぇ

潮が動かない中での何とかの釣果。
しかし、現在リールは、アブのLJ-1使用していますが、クラッチの固いのと大きいのがネック
その他は満足してるんですが。
買い換え考えても、求めているリールの使用が問題に
・パーミングしやすい(丸型でもロープロでも問題ない)
・PE0.8号が200m巻ける
・シンクロレベルワインド もしくはラインが出るときにライン同士がすれない
これが、ネック・・・
タイラバに限ってのことですが、どうしても、ドラグの出るときのあのラインがすれる音が不快なんです
0.8号の細いとでドラグも1kgも無く走ったらラインが出るような釣り方・・ライン同士がスレていたみそうで・・・
もうですね、求めているの絶対条件がこれなんです
それ以外なら、釣具屋オリジナルの1万以下のでもいいんです!
実際、まえそれ使っていて、ドラグ出たときのラインがすれる音以外不満はなかったのです。
今のところ、自分が探して該当するのが
アブ LJ-1・LJ-3・BJ・MJ
ダイワ リョウガベイジギング
シマノ オシアコンクエスト
オシアカルカッタ
アブのLJシリーズは今使ってるし、BJはテツノリさん1シーズンで機関不良起こしてイメージ的に剛性不足なイメージ
MJでもと思うも、ナロースプールがちょっと
リョウガは良いんですが、予算と不具合起こした時のパーツ代が高い
オシコンは周りで使用者いるのですが、すごくいい感じですが現時点では手が届きません
オシカルは、・・・もうじきモデルチェンジしそうな気がして手が出ない・・・
夏のボーナスまで待ってオシコンがいいのかなぁ
- 2015年5月31日
- コメント(4)
コメントを見る
fimoニュース
登録ライター
- ムスッとしてたら
- 3 日前
- はしおさん
- ヨーヅリ:トビマル
- 3 日前
- ichi-goさん
- 『ワームの釣りは、向い風が吉…
- 4 日前
- hikaruさん
- 44th 早い話がイマジネーション
- 11 日前
- pleasureさん
- フィッシングショー大阪2026行…
- 22 日前
- ねこヒゲさん
本日のGoodGame
シーバス
-
- 2026バチ抜け開幕
- 魚紳
-
- 多摩川河口 ★ 久々の魚
- デューク

















最新のコメント