プロフィール

まる
新潟県
プロフィール詳細
カレンダー
検索
アーカイブ
アクセスカウンター
- 今日のアクセス:100
- 昨日のアクセス:94
- 総アクセス数:112041
QRコード
▼ ~アジ・めばる調査~
- ジャンル:釣行記
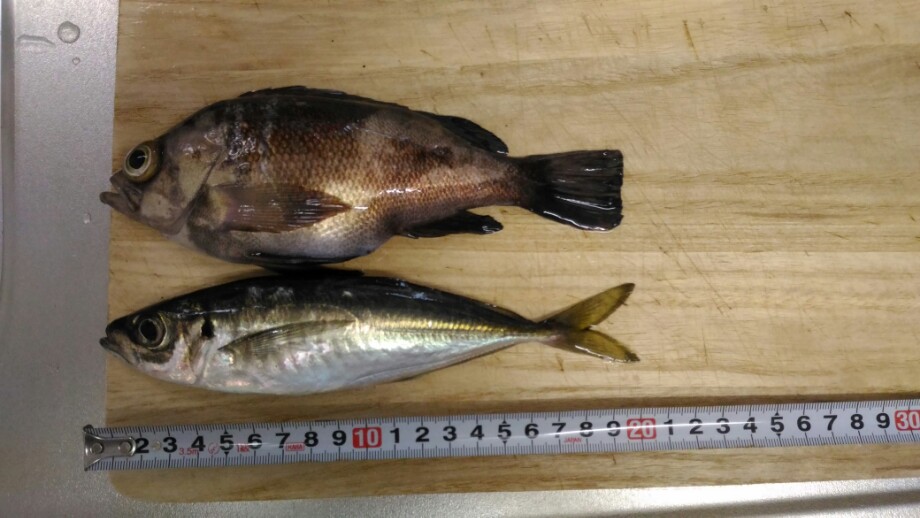
先週はメバル、今日はアジ調査に行ってきました。
メバルは、前回逃した魚を求めてリベンジ。
何とかメバルは確保しました。
ただ、前回逃した魚ではなかったです。。(>_<)
調査を続けていたところ、メバルと違うアタリが!
今年初の地元アジ♪
しかもこのエリア初の20センチ越え☆彡

数は出ませんでしたが、イイ収穫しました◎
続いて、昨日は地元で尺アジもとめて調査行ってきました。
昨日は強風、うねりの残る中での調査でした。
風は冷たく、強く、うねりは高く、危うく波に持っていかれそうなくらい高かった。。(^_^;)
港の外海はうねりのおかげで茶色。。
ゴミだらけで、ゴミばっか掛かります(笑)
仕方なく内海へ移動。
試合終了数分前に何とか一匹ゲット(・ω・)

次回はもっと状況がイイ時を狙って調査に行きたいと思います。

Android携帯からの投稿
メバルは、前回逃した魚を求めてリベンジ。
何とかメバルは確保しました。
ただ、前回逃した魚ではなかったです。。(>_<)
調査を続けていたところ、メバルと違うアタリが!
今年初の地元アジ♪
しかもこのエリア初の20センチ越え☆彡

数は出ませんでしたが、イイ収穫しました◎
続いて、昨日は地元で尺アジもとめて調査行ってきました。
昨日は強風、うねりの残る中での調査でした。
風は冷たく、強く、うねりは高く、危うく波に持っていかれそうなくらい高かった。。(^_^;)
港の外海はうねりのおかげで茶色。。
ゴミだらけで、ゴミばっか掛かります(笑)
仕方なく内海へ移動。
試合終了数分前に何とか一匹ゲット(・ω・)

次回はもっと状況がイイ時を狙って調査に行きたいと思います。

Android携帯からの投稿
- 2016年4月16日
- コメント(0)
コメントを見る
fimoニュース
登録ライター
- ムスッとしてたら
- 3 日前
- はしおさん
- ヨーヅリ:トビマル
- 3 日前
- ichi-goさん
- 『ワームの釣りは、向い風が吉…
- 4 日前
- hikaruさん
- 44th 早い話がイマジネーション
- 10 日前
- pleasureさん
- フィッシングショー大阪2026行…
- 22 日前
- ねこヒゲさん
本日のGoodGame
シーバス
-
- 2026バチ抜け開幕
- 魚紳
-
- 多摩川河口 ★ 久々の魚
- デューク












最新のコメント