プロフィール

ぽんきちZ
熊本県
プロフィール詳細
カレンダー
検索
アクセスカウンター
- 今日のアクセス:78
- 昨日のアクセス:287
- 総アクセス数:1697669
タグ
▼ ナイト磯ヒラ→ボートシーバス爆釣!
皆さん、こん!(。・▽・)ノばんヾ(^∇^)よー♪
実は2連休でした(^_^)v
なので…昨夜は久々に磯ヒラナイトゲームへ!
サラシゲームに行きたいところですが、時化と休みが合いそうもないのでナイトゲームです(〃´o`)=3
今回はタックルもブランジーノAGS97MLと、ブランジーノ3000にPE1.2号と、平鱸にはライトなタックルですが、デーモン系ディップのロッドで掛けにいく作戦。
序盤…イカのバイトにいら立つ(^▽^;)
3ヒットするも全部抜ける(# ゚Д゚)
たぶんどれも1kgオーバーっぽかったけど、イカは無視してひたすら平鱸を狙う。
得意のコモモでずっと探っていたのですが…なぜかイカばかり…
(-ω-;)ウーンやっぱアレか?アレでくるのか?最近、ナイト磯ヒラでは、コモモがアレに押され気味。
(○ ̄∀ ̄)ノぁぃ!ウルングマに交換(笑)
これまでの経緯だと、交換後1投目に釣れることが多い。
で、1投目…案の定キタ━━━(゚∀゚)━━━!!
デーモン系ディップのブランジーノだと平鱸のバイトもガッツリフッキング!
パワーもサラシじゃないので全く問題なし!
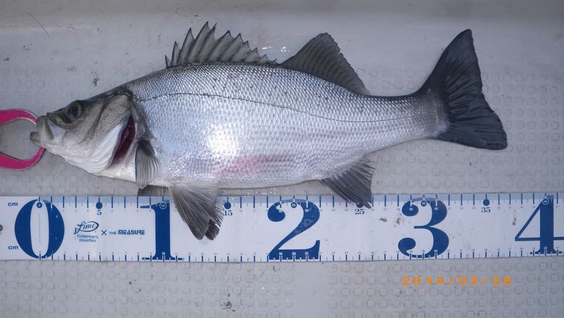
無事にGET♪d(゚∀゚d) まずまずの60UP! (≧血≦;) グォオオオッ!!なぜ釣れる!?
村岡氏が喜びそうなログになってしまう(笑)
そして、キャッチ後の2投目…またキタ━━━(゚∀゚)━━━!!
なんで?コモモで全く反応しなかったのに… サイズはアレですが2本目も無事GET♪d(゚∀゚d) 以後は反応なし。
コモモで攻めつくしていたはずなのに…やっぱ居たんだな…
コモモとレンジは殆ど同じはずなのに…やっぱ動きかな…
こうなると…ウルングマの実力を認めざるを得ない。
磯ヒラナイトゲームでは外せないルアーになってしまいました(^▽^;)
そして…本日は朝マズメからボートシーバスへ!
昨日の釣行で今回の潮廻りの傾向と対策はある程度把握できた。
ズバリ!ベイトはどこにでも豊富に居る。
しかしベイトが密集していない為、ついているシーバスの数も祭りのパターンの時ほど居ないと思われる。
なので適当にキャストしてもあんまり釣れない。
食うべき所でしか食わないパターンだ。
まずは、回遊するパターンを把握し食うべきヒットポイントを先回りしながら、回遊してくる群れを狙い打つ! 30分ほどで回遊パターンを解析。
あとは…釣って!釣って!釣りまくるだけ~! しかし…サイズはいつもながら、どのシーバスもグッドコンディション!
腹パンでパワーも抜群!
中には、平鱸かよ!と思いそうな体高のシーバスも!
と思ってたら本物登場(笑) なんやかんやで、入れ食いとまでは行かなかったものの、久々に15本の爆釣!
ちなみに使用したルアーは最初から最後まで、リアルスティール1個だけ(^▽^;)
(o^-^o) ウフッ、やっぱボートシーバスも楽しいですわ(^_^)v
毎日でも行きたいところですが…仕事がある日はイケません。・゚・(ノД`)・゚・。
また次の休みに時化なればc(´ω`o)ォヶです。
《釣行データ》
【フィールド】鹿児島県地磯&熊本県オフショア
【潮】中潮
【天候】晴
【気温】16℃&18℃
【風向】西4m&ベタ凪
【月齢】25.8~26.8
【水質】クリア
《タックルデータ》ナイト磯ヒラ
【ロッド】ダイワ:モアザンブランジーノAGS97ML
【リール】ダイワ:モアザンブランジーノ3000
【ライン】ラパラ:ラピノヴァX 1.2号
【リーダー】ダイワ:ソルディガリーダーTypeF30lb
【ヒットルアー】オルタネイティブ:ウルングマ125F
《タックルデータ》ボートシーバス
【ロッド】アングラーズリパブリック:ベイマチック BMAS-73M
【リール】ダイワ:セルテートハイパーカスタム3000
【ライン】サンライン:PEジガーHGライトスペシャル1.5号
【リーダー】ダイワ:ソルディガリーダーTypeF 30lb
【ヒットルアー】ダイワ:リアルスティール
実は2連休でした(^_^)v
なので…昨夜は久々に磯ヒラナイトゲームへ!
サラシゲームに行きたいところですが、時化と休みが合いそうもないのでナイトゲームです(〃´o`)=3
今回はタックルもブランジーノAGS97MLと、ブランジーノ3000にPE1.2号と、平鱸にはライトなタックルですが、デーモン系ディップのロッドで掛けにいく作戦。
序盤…イカのバイトにいら立つ(^▽^;)
3ヒットするも全部抜ける(# ゚Д゚)
たぶんどれも1kgオーバーっぽかったけど、イカは無視してひたすら平鱸を狙う。
得意のコモモでずっと探っていたのですが…なぜかイカばかり…
(-ω-;)ウーンやっぱアレか?アレでくるのか?最近、ナイト磯ヒラでは、コモモがアレに押され気味。
(○ ̄∀ ̄)ノぁぃ!ウルングマに交換(笑)
これまでの経緯だと、交換後1投目に釣れることが多い。
で、1投目…案の定キタ━━━(゚∀゚)━━━!!
デーモン系ディップのブランジーノだと平鱸のバイトもガッツリフッキング!
パワーもサラシじゃないので全く問題なし!
無事にGET♪d(゚∀゚d) まずまずの60UP! (≧血≦;) グォオオオッ!!なぜ釣れる!?
村岡氏が喜びそうなログになってしまう(笑)
そして、キャッチ後の2投目…またキタ━━━(゚∀゚)━━━!!
なんで?コモモで全く反応しなかったのに… サイズはアレですが2本目も無事GET♪d(゚∀゚d) 以後は反応なし。
コモモで攻めつくしていたはずなのに…やっぱ居たんだな…
コモモとレンジは殆ど同じはずなのに…やっぱ動きかな…
こうなると…ウルングマの実力を認めざるを得ない。
磯ヒラナイトゲームでは外せないルアーになってしまいました(^▽^;)
そして…本日は朝マズメからボートシーバスへ!
昨日の釣行で今回の潮廻りの傾向と対策はある程度把握できた。
ズバリ!ベイトはどこにでも豊富に居る。
しかしベイトが密集していない為、ついているシーバスの数も祭りのパターンの時ほど居ないと思われる。
なので適当にキャストしてもあんまり釣れない。
食うべき所でしか食わないパターンだ。
まずは、回遊するパターンを把握し食うべきヒットポイントを先回りしながら、回遊してくる群れを狙い打つ! 30分ほどで回遊パターンを解析。
あとは…釣って!釣って!釣りまくるだけ~! しかし…サイズはいつもながら、どのシーバスもグッドコンディション!
腹パンでパワーも抜群!
中には、平鱸かよ!と思いそうな体高のシーバスも!
と思ってたら本物登場(笑) なんやかんやで、入れ食いとまでは行かなかったものの、久々に15本の爆釣!
ちなみに使用したルアーは最初から最後まで、リアルスティール1個だけ(^▽^;)
毎日でも行きたいところですが…仕事がある日はイケません。・゚・(ノД`)・゚・。
また次の休みに時化なればc(´ω`o)ォヶです。
《釣行データ》
【フィールド】鹿児島県地磯&熊本県オフショア
【潮】中潮
【天候】晴
【気温】16℃&18℃
【風向】西4m&ベタ凪
【月齢】25.8~26.8
【水質】クリア
《タックルデータ》ナイト磯ヒラ
【ロッド】ダイワ:モアザンブランジーノAGS97ML
【リール】ダイワ:モアザンブランジーノ3000
【ライン】ラパラ:ラピノヴァX 1.2号
【リーダー】ダイワ:ソルディガリーダーTypeF30lb
【ヒットルアー】オルタネイティブ:ウルングマ125F
《タックルデータ》ボートシーバス
【ロッド】アングラーズリパブリック:ベイマチック BMAS-73M
【リール】ダイワ:セルテートハイパーカスタム3000
【ライン】サンライン:PEジガーHGライトスペシャル1.5号
【リーダー】ダイワ:ソルディガリーダーTypeF 30lb
【ヒットルアー】ダイワ:リアルスティール
- 2014年3月28日
- コメント(5)
コメントを見る
ぽんきちZさんのあわせて読みたい関連釣りログ
fimoニュース
登録ライター
- こんなに遠かったかな
- 22 時間前
- はしおさん
- イズム:ビアマグ88F
- 2 日前
- ichi-goさん
- 『ご利益かな?』 2026/1/5 (…
- 7 日前
- hikaruさん
- リールにぴったりラインを巻く
- 9 日前
- papakidさん
- あなたが釣りをはじめた「きっ…
- 9 日前
- ねこヒゲさん
本日のGoodGame
シーバス
-
- '25 湘南秋鱸、大型捕獲!
- ハマケン
-
- 最近の釣果に感謝
- Kazuma


































最新のコメント