プロフィール

ぽんきちZ
熊本県
プロフィール詳細
カレンダー
検索
アクセスカウンター
- 今日のアクセス:64
- 昨日のアクセス:247
- 総アクセス数:1694121
タグ
▼ 低水温を攻略!?
- ジャンル:釣行記
- (シーバス釣果)
皆さん、こん(*^-゜)vばん(*^0゜)vよう~v(≧∇≦)v~♪
いやはや…休みはあるんですが…とにかく忙しいです!
確定申告で!(^▽^;)
夏休みの宿題は土壇場になってまとめてやるタイプでしたので…
確定申告も土壇場で一年分まとめてやります!(笑)
釣りどころじゃありません。
しかし今日の天気予報は…
夜半までいい時化で朝方には風が止み、平鱸には持って来いのベストコンディション!
何とか確定申告も先が見えてきたので…
そりゃ行くっきゃないでしょ!(^_^)v
そして予想通り!
ウネリだけ残って風は…そよ風程度!
これならミスなく正確にキャストできて、ベストなトレースラインでルアーを通せます!
とは言え…ここのところ…かなり厳しい~( ノД`)
すでに平鱸はハイシーズンにとっくに入っているのですが…
気付いている方も多いと思いますが、とにかく水温が低い!
一番の原因は…
一昨年と昨年の、一番水温が高い9月の状態を見てもらえば一目瞭然! 去年の夏は雨が多く、日照時間も少なかった為、本来の水温まで上がり切れませんでした。
まあ、おかげで初夏のシーバスやチヌのトップゲームが秋まで楽しめる結果となったわけです。
しかしそのツケはデカく…
年末年始からの寒波+北西風の連続で、ただでさえ低い所に追い打ちをかけてしまった感じです。
そして現在のところ…
去年と今年の平年差を比べてみると… 去年は平年より1度程高かったのに対し、今年は2度程低い…
つまり去年の同時期と比べると3度前後も低いことになります(;^ω^)
黒潮の恩恵を受けているとは思えないほどの低水温になっております(〃´o`)=3
時化はイイんですけどねえ~
そう簡単には出てくれんのです!
このコンディションに、どうにかしてアジャストして釣りをやらないと…
考えるに…やっぱ低水温の時は丸鱸と同じくスローでしょ!?
しかし渦巻くサラシの中で、安定してスローで引くのは結構ムズい。
足場が低ければウルングマでいいんですけど、足場が高いところでは浮いてしまってダメダメです(;^ω^)
そういう場合はスプラット130やハウンドで攻めてましたが”もう1手”が打てるルアー欲しい…
いろいろと物色し、よさそうな物を発見!
メガバスのX-80マグナム!
80ですが115mmです。
早速実践投入!
今日はコイツをうまく使って1本でも捕れればいいな…と、結構な弱気で挑戦(笑)
試し投げでキャストしてみる。
Σ(゜Δ゜*) ウォッ!飛ぶ!めちゃ飛ぶ!ハウンド並みに飛ぶ!スプラットより飛ぶ!
そして泳ぎは…
Σ(゜Δ゜*) ウォッ!めっちゃ泳ぐ!着水直後のリトリーブからめっちゃ泳ぐ!めっちゃ足場が高くても足元までしっかり泳ぐ!ってかスローどころかデッドスローでも泳ぐ!
予想以上に上出来です。
ならば!と期待して本番!ビシッ!と目標ポイントにキャスト!
リーリングは毎秒1回転~3/4回転のスローリトリーブ。
本番でも思い通りにバッチリ泳ぎます。
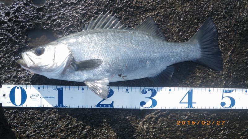
そして…足元のピックアップでヒ~ット~v(o ̄∇ ̄o) ♪ まずまずの出だし(^_^)v
こりゃもしかして…ハマリパターンか!?
さらにヒットポイントをランガン!
出る! 出る! 出る! 出る! 出る! 面白いように出ました(^_^)v
一度もルアーチェンジしてませんが(^▽^;)
結構な距離をランガンしましたが、群れと言うより居付きっぽい感じでしたね。
各ヒットポイント、4本は1投目でヒットです(^_^)v
しかもバラシなし!
1回の釣行で結構ボロボロになりました(^▽^;) 何度も岩に当てましたが、大きめのリップでも折れずに丈夫。
コンパクトボディでキビキビした動き、操作性の良さ!
最初から、がまかつSP-MHフックなのも魅力。
強めの風を受けるとバランスを崩し、飛距離が落ちるのは難点ですが…
完璧に1軍入りです(^_^)v
スプラットやハウンドと比べてかなりスリムなので小型ベイトを意識しているときなどの”もう1手”に使えそうです。
今日は、たまたま、いい日だったのか?ハマリルアーだったのか?
まだどっちなのかよく分かりませんが、前回行ったときより明らかに反応がいい。
低水温期攻略には最強かも…
《タックルデータ》
【ロッド】ダイワ:モアザントリプルワンス111MLX
【リール】ダイワ:10セルテート3000(モアザンスプール)
【ライン】よつあみ:GソウルX8アップグレード 1.5号
【リーダー】ダイワ:ソルティガリーダーTypeF40lb
【ヒットルアー】メガバス:X-80マグナム
いやはや…休みはあるんですが…とにかく忙しいです!
確定申告で!(^▽^;)
夏休みの宿題は土壇場になってまとめてやるタイプでしたので…
確定申告も土壇場で一年分まとめてやります!(笑)
釣りどころじゃありません。
しかし今日の天気予報は…
夜半までいい時化で朝方には風が止み、平鱸には持って来いのベストコンディション!
何とか確定申告も先が見えてきたので…
そりゃ行くっきゃないでしょ!(^_^)v
そして予想通り!
ウネリだけ残って風は…そよ風程度!
これならミスなく正確にキャストできて、ベストなトレースラインでルアーを通せます!
とは言え…ここのところ…かなり厳しい~( ノД`)
すでに平鱸はハイシーズンにとっくに入っているのですが…
気付いている方も多いと思いますが、とにかく水温が低い!
一番の原因は…
一昨年と昨年の、一番水温が高い9月の状態を見てもらえば一目瞭然! 去年の夏は雨が多く、日照時間も少なかった為、本来の水温まで上がり切れませんでした。
まあ、おかげで初夏のシーバスやチヌのトップゲームが秋まで楽しめる結果となったわけです。
しかしそのツケはデカく…
年末年始からの寒波+北西風の連続で、ただでさえ低い所に追い打ちをかけてしまった感じです。
そして現在のところ…
去年と今年の平年差を比べてみると… 去年は平年より1度程高かったのに対し、今年は2度程低い…
つまり去年の同時期と比べると3度前後も低いことになります(;^ω^)
黒潮の恩恵を受けているとは思えないほどの低水温になっております(〃´o`)=3
時化はイイんですけどねえ~
そう簡単には出てくれんのです!
このコンディションに、どうにかしてアジャストして釣りをやらないと…
考えるに…やっぱ低水温の時は丸鱸と同じくスローでしょ!?
しかし渦巻くサラシの中で、安定してスローで引くのは結構ムズい。
足場が低ければウルングマでいいんですけど、足場が高いところでは浮いてしまってダメダメです(;^ω^)
そういう場合はスプラット130やハウンドで攻めてましたが”もう1手”が打てるルアー欲しい…
いろいろと物色し、よさそうな物を発見!
メガバスのX-80マグナム!
80ですが115mmです。
早速実践投入!
今日はコイツをうまく使って1本でも捕れればいいな…と、結構な弱気で挑戦(笑)
試し投げでキャストしてみる。
Σ(゜Δ゜*) ウォッ!飛ぶ!めちゃ飛ぶ!ハウンド並みに飛ぶ!スプラットより飛ぶ!
そして泳ぎは…
Σ(゜Δ゜*) ウォッ!めっちゃ泳ぐ!着水直後のリトリーブからめっちゃ泳ぐ!めっちゃ足場が高くても足元までしっかり泳ぐ!ってかスローどころかデッドスローでも泳ぐ!
予想以上に上出来です。
ならば!と期待して本番!ビシッ!と目標ポイントにキャスト!
リーリングは毎秒1回転~3/4回転のスローリトリーブ。
本番でも思い通りにバッチリ泳ぎます。
そして…足元のピックアップでヒ~ット~v(o ̄∇ ̄o) ♪ まずまずの出だし(^_^)v
こりゃもしかして…ハマリパターンか!?
さらにヒットポイントをランガン!
出る! 出る! 出る! 出る! 出る! 面白いように出ました(^_^)v
一度もルアーチェンジしてませんが(^▽^;)
結構な距離をランガンしましたが、群れと言うより居付きっぽい感じでしたね。
各ヒットポイント、4本は1投目でヒットです(^_^)v
しかもバラシなし!
1回の釣行で結構ボロボロになりました(^▽^;) 何度も岩に当てましたが、大きめのリップでも折れずに丈夫。
コンパクトボディでキビキビした動き、操作性の良さ!
最初から、がまかつSP-MHフックなのも魅力。
強めの風を受けるとバランスを崩し、飛距離が落ちるのは難点ですが…
完璧に1軍入りです(^_^)v
スプラットやハウンドと比べてかなりスリムなので小型ベイトを意識しているときなどの”もう1手”に使えそうです。
今日は、たまたま、いい日だったのか?ハマリルアーだったのか?
まだどっちなのかよく分かりませんが、前回行ったときより明らかに反応がいい。
低水温期攻略には最強かも…
《タックルデータ》
【ロッド】ダイワ:モアザントリプルワンス111MLX
【リール】ダイワ:10セルテート3000(モアザンスプール)
【ライン】よつあみ:GソウルX8アップグレード 1.5号
【リーダー】ダイワ:ソルティガリーダーTypeF40lb
【ヒットルアー】メガバス:X-80マグナム
- 2015年2月27日
- コメント(4)
コメントを見る
ぽんきちZさんのあわせて読みたい関連釣りログ
fimoニュース
| 00:00 | [再]生涯忘れる事の出来ない日 |
|---|
| 12月28日 | 自作アシスト 最大の敵は腱鞘炎 |
|---|
| 12月28日 | ハイシーズンはとにかく人が来る率が下がるような時のみ釣り |
|---|
| 12月28日 | 夢のメーターを追いかける日々 |
|---|
登録ライター
本日のGoodGame
シーバス
-
- '25 湘南秋鱸、大型捕獲!
- ハマケン
-
- 最近の釣果に感謝
- Kazuma






























最新のコメント