プロフィール

ぽんきちZ
熊本県
プロフィール詳細
カレンダー
検索
アクセスカウンター
- 今日のアクセス:66
- 昨日のアクセス:119
- 総アクセス数:1704981
タグ
▼ 日没30分前の攻防!
皆さん、こん(*^-゜)vばん(*^0゜)vよう~v(≧∇≦)v~♪
昨日は、微妙な時間に仕事が終わり帰り着くと・・・
日没までわずか!釣行するにしても30分!ってとこ・・・
行けるか!?釣れるか!?行ってしまえ~!
って事で、僅かな時間ながらも、行く価値あり!のハイシーズンなので、小雨ながらもレイン着込んで強行出撃!
とにかく早くポイントを決める!
速攻で絶好の潮目発見!
まずはトップでブリを探ってみる。
1投目!
ルアー後方に、モワ~っと、いきなり出た!
けど食わない(^▽^;)
すかさず2投目!
ルアー飛び出し過ぎないように慎重に操作。
すると・・・ルアー後方が大きく盛り上がり、ガババッ!
食った~!
早くもブリファイト開始!
時間がない!とにかく迅速に取り込みたいところですが・・・
こいつがかなり体力ありまして・・・
10分近くかかってしまいました(^▽^;)
4連続10kg超の記録は途絶えてしまいましたが、98cm、9.2kgの手ごたえ抜群のブリ(^_^)v
その後はブリの気配はなかったので、シーバスに切り替え。
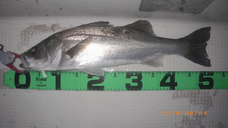
もう薄暗いなかですが、何とかチーバスもGET♪d(゚∀゚d)
まあこの時間内でこれくらい釣れれば上等でしょ?
梅雨に入ってしまい、そろそろオフショアの活性も落ち着く頃なので、可能な限り!何とか少しでも!釣っときたいところです。
昨日は、微妙な時間に仕事が終わり帰り着くと・・・
日没までわずか!釣行するにしても30分!ってとこ・・・
行けるか!?釣れるか!?行ってしまえ~!
って事で、僅かな時間ながらも、行く価値あり!のハイシーズンなので、小雨ながらもレイン着込んで強行出撃!
とにかく早くポイントを決める!
速攻で絶好の潮目発見!
まずはトップでブリを探ってみる。
1投目!
ルアー後方に、モワ~っと、いきなり出た!
けど食わない(^▽^;)
すかさず2投目!
ルアー飛び出し過ぎないように慎重に操作。
すると・・・ルアー後方が大きく盛り上がり、ガババッ!
食った~!
早くもブリファイト開始!
時間がない!とにかく迅速に取り込みたいところですが・・・
こいつがかなり体力ありまして・・・
10分近くかかってしまいました(^▽^;)
4連続10kg超の記録は途絶えてしまいましたが、98cm、9.2kgの手ごたえ抜群のブリ(^_^)v
その後はブリの気配はなかったので、シーバスに切り替え。
もう薄暗いなかですが、何とかチーバスもGET♪d(゚∀゚d)
まあこの時間内でこれくらい釣れれば上等でしょ?
梅雨に入ってしまい、そろそろオフショアの活性も落ち着く頃なので、可能な限り!何とか少しでも!釣っときたいところです。
- 2016年6月5日
- コメント(2)
コメントを見る
ぽんきちZさんのあわせて読みたい関連釣りログ
メガバス(Megabass) (2019-11-25)
価格:¥4,222
価格:¥4,222
fimoニュース
| 00:00 | [再]釣り場を見切る目 |
|---|
| 3月7日 | 私のルアー作りの起点はツーパターン |
|---|
登録ライター
- ムスッとしてたら
- 8 日前
- はしおさん
- ヨーヅリ:トビマル
- 8 日前
- ichi-goさん
- 『ワームの釣りは、向い風が吉…
- 9 日前
- hikaruさん
- 44th 早い話がイマジネーション
- 16 日前
- pleasureさん
- フィッシングショー大阪2026行…
- 27 日前
- ねこヒゲさん
本日のGoodGame
シーバス
-
- 2026バチ抜け開幕
- 魚紳
-
- 多摩川河口 ★ 久々の魚
- デューク























最新のコメント