プロフィール

アマアマ
富山県
プロフィール詳細
カレンダー
検索
タグ
アーカイブ
アクセスカウンター
- 今日のアクセス:15
- 昨日のアクセス:11
- 総アクセス数:13966
QRコード
▼ ボートシーバス&その他(≧∇≦)
- ジャンル:釣行記
- ( Ballistick 92/12 EVO, XFIRE-LBD , ダイワ)
久しぶりの更新ですね〜
はい(^^)
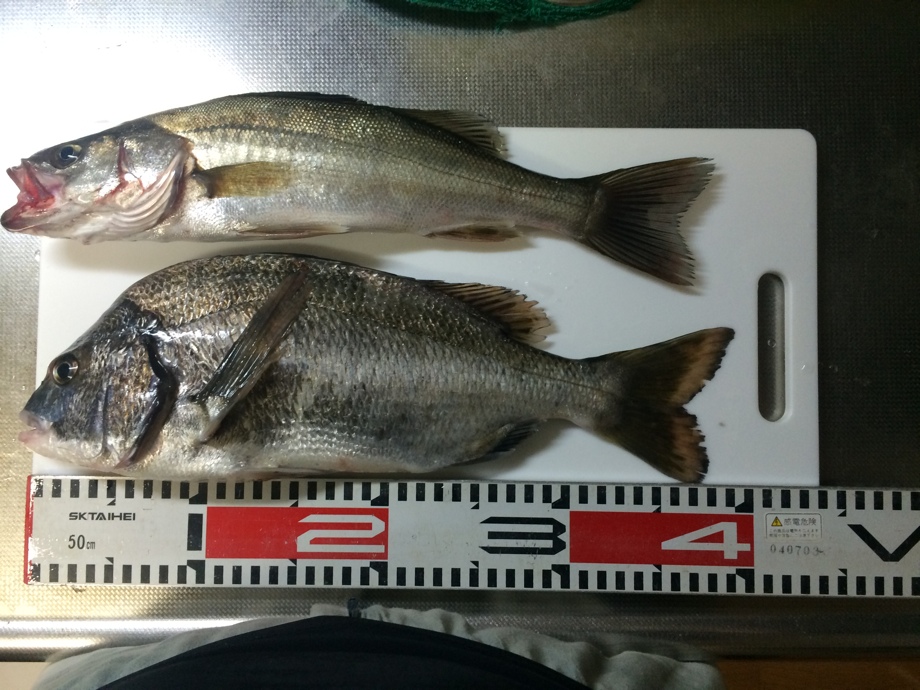
本日朝からNSRボートでシーバスをメインに楽しんできました(^^)
久しぶりの釣果興奮でしたね〜
ただ92/12EVOでミノ〜イングでセイゴサイズがバイト(^^)
その後魔の沈黙が始まり昼飯前にビッグサイズシーバスランディングミス(._.)
アサシンちゃんでチヌ君もゲット(^^)
満足した僕ゎテンヤ開始(^^)
しかしテンヤセット忘れたことに気づき釣り終了(^^)
次回ゎ先輩誘っって行きたいと思います(≧∇≦)
かっちんさん覚悟をお決めください

iPhoneからの投稿
はい(^^)
本日朝からNSRボートでシーバスをメインに楽しんできました(^^)
久しぶりの釣果興奮でしたね〜
ただ92/12EVOでミノ〜イングでセイゴサイズがバイト(^^)
その後魔の沈黙が始まり昼飯前にビッグサイズシーバスランディングミス(._.)
アサシンちゃんでチヌ君もゲット(^^)
満足した僕ゎテンヤ開始(^^)
しかしテンヤセット忘れたことに気づき釣り終了(^^)
次回ゎ先輩誘っって行きたいと思います(≧∇≦)
かっちんさん覚悟をお決めください

iPhoneからの投稿
- 2014年9月14日
- コメント(1)
コメントを見る
アマアマさんのあわせて読みたい関連釣りログ
GAN CRAFT(ガンクラフト) ルアー ジョインテッドクローマグナム230SS
posted with amazlet at 17.11.29
GAN CRAFT(ガンクラフト)
fimoニュース
登録ライター
- 台風一過のエビパターン
- 6 日前
- はしおさん
- レガーレ:ディモル70
- 7 日前
- ichi-goさん
- 『何が違うんでしょうね?』 2…
- 8 日前
- hikaruさん
- ふるさと納税返礼品
- 14 日前
- papakidさん
- 43rd ONE ON ONE
- 15 日前
- pleasureさん
本日のGoodGame
シーバス
-
- 清流鱸を追って38
- 金森 健太
-
- 続・ありがとうサミー100スズキサイ…
- そそそげ














最新のコメント